
Le genre Distylium appartient à la famille des Hamamelidaceae et regroupe environ quinze espèces d’arbustes et d’arbres persistants. Le nom générique dérive du grec « dis » signifiant deux et « stylos » pour style, en référence aux deux styles caractéristiques des fleurs femelles. Ce genre est originaire d’Asie orientale, avec une aire de distribution naturelle s’étendant du Japon à la Chine méridionale, incluant la Corée et Taïwan.
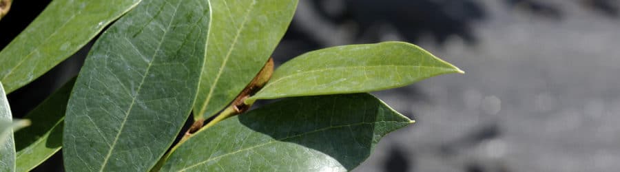
Les Distylium sont des ligneux au port érigé ou étalé, pouvant atteindre 3 à 8 mètres de hauteur selon les espèces. Leurs tiges développent une écorce lisse et grisâtre. Les feuilles alternes, coriaces et persistantes, présentent une forme ovale à elliptique avec des nervures parallèles marquées et des marges entières ou légèrement dentées.
Les fleurs, dépourvues de pétales, sont regroupées en grappes terminales denses. Elles se composent de sépales réduits et d’étamines proéminentes aux anthères rougeâtres. Les fruits sont des capsules ligneuses déhiscentes contenant des graines ailées. Cette structure florale particulière confère aux inflorescences un aspect plumeux caractéristique lors de la floraison printanière.
Les Distylium colonisent naturellement les forêts tempérées humides, les versants rocheux et les zones de transition entre forêts et landes. Ils tolèrent diverses conditions édaphiques et montrent une préférence pour les sols bien drainés. La pollinisation est principalement anémophile, favorisée par l’exposition des étamines. Ces espèces jouent un rôle écologique important en fournissant nourriture et abri à diverses espèces d’oiseaux et d’insectes. Plusieurs espèces présentent un statut de conservation préoccupant en raison de la déforestation et de l’urbanisation croissante dans leur aire d’origine.
Comme le révèle la liste rouge de l'UICN (l'Union Internationale pour la Conservation de la Nature), 45.2% des plantes sur notre planète sont menacées d'extinction à plus ou moins brève échéance.
Source : données calculées d'après les mesures fournies par l'UICN le 18 mars 2026.
Si le sujet vous intéresse, vous pouvez découvrir notre analyse détaillée pour comprendre les raisons de leur extinction, les enjeux écologiques et les solutions possibles pour que chacun puisse agir à son échelle dès aujourd'hui.